Rum Cay Community Shelter

It’s been four years since we wrapped up the Hurricane Joaquin relief efforts.  Seeing that we are well into the 2020 hurricane season it has been requested that we pick back up on our efforts towards finishing the Rum Cay Community Shelter.  The Rum Cay Foundation has accepted the request to fund the donation of the supplies to include plywood panelling, wood and cement. 

The Rum Cay Community Shelter is a place to seek shelter during hurricanes.  The shelter will also offer opportunities for social activities, educational activities, summer programs and a computer lab.

And this Community Shelter is bringing this community together!  A huge thanks goes out to Dave Knowles for heading up this project and to the following volunteers who have generously donated their time:  Kirkland Knowles JR, Edward Strachan, Osley Gaitor, Jerome Cash, William Gaitor, Jefferson Strachan, Ervin Saunders, Teddy Bain & George Gaitor.  Dave & the team are working hard to try to finish the shelter before the next disturbance.

Together we can do great things and we are excited to be a part of this project.  We will post updates as the progress continues.

Click here to read the lovely thank you letter from the Rum Cay Committee written by Ms. Pearl Maycock.

One year since Hurricane Joaquin

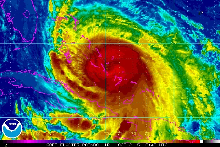
As Hurricane Matthew heads towards Rum Cay it’s hard to believe that it’s been one full year since Hurricane Joaquin ravaged this small community.  For two days the category 4 hurricane hovered around the southeastern Bahamas offering 12 to 15 foot storm surges and relentless pounding.  Rum Cay suffered severe flooding, downed trees, impassable roads, downed power lines and poles were reported across the island. The airport was flooded, and the government dock was and still is completely destroyed.  This small community of 60 souls endured the worst damages from a hurricane in over 100 years.

Hurricane Joaquin - October 2, 2016

With your support and through the hard work of The Rum Cay Foundation we have made tremendous progress over the past year.  Here is a highlight of what we accomplished together:

  • With the assistance of Brad Elliot of Banyan Air who generously offered us space in a hangar where we helped to coordinated a central location for donated supplies such as food, water, clothing, bug spray, generators & other urgent supplies. Volunteer pilots then donated their time & fuel to deliver these supplies to Rum Cay.

  • With the assistance of YachtAid Global and Jeremy Beller of M/Y Enchanted Lady we coordinated to ship a huge supply of the donated items directly to Rum Cay.

  • With your generous donations we were able to supply each Rum Cay household with one appliance and mattress. Check out our Hurricane Update post for more pictures & details.

  • With the help of Susan & Oscar Davis, the Rum Cay community and Waterkeepers Bahamas we successfully collected and exported 5000 plastic water bottles that were sent to Nassau and properly recycled.

  • Again with the help of YachtAid Global and local electrician Josie Harding we were able to set up a solar powered water filtration system.

Rum Cay Hurricane/Community Shelter

As we look into the future there are many projects that the Foundation has in mind to further our mission.  We are currently focusing on the most important one which is the Rum Cay Hurricane/Community Shelter.   This is an organically grown project initiated and funded by local residents & expats.  The main frame of this building is standing, however, it is still in need of being closed in.  This building will serve not only as a secure hurricane shelter but also as a much needed community space allowing Rum Cayans a place to gather, educate and celebrate their community. 

Rum Cay Community/Hurricane Shelter

Rum Cay Community/Hurricane Shelter

Our Pledge

We are committed to assisting the local residents in finishing the hurricane shelter/community center.  In doing so, our focus is to shore up the building by purchasing doors and windows so that they have a closed structure which can be used in the case of a storm.  In the future, much more needs to be purchased such as plumbing, a cistern and more, but we would like the first phase to be achievable in the short term.
 
The board has committed to matching your funds up to $10,000, so for every $1.00 contribution, we will contribute $1.00.  This ensures that your donation will go a long way to helping the residents of Rum Cay.

You can use the website to make a donation by credit card here .   Please remember that your donations are fully tax deductible as we are a US based 501c3.

 Or send checks to: 
The Rum Cay Foundation
33 Witherspoon Street
Princeton, NJ 08542

 Together we hope you will continue to join us in our mission of enhancing the standard of living, education and general well-being of the community of Rum Cay.  We couldn’t do any of this without your support. 

Fresh Water Filtration System on Rum Cay

We are proud to announce that with the partnership of Waterkeeper Bahamas and YachtAid Global Rum Cay now has a solar powered fresh water filtration system. 

The water comes from an enclosed well which has been tested showing that it is clean and suitable for drinking.  Powered by a solar powered pump then run through a filtration system Rum Cay has access to fresh, clean drinking water now and in the event of another disaster.  

This could not have been accomplished without the help of Josie Harding and Oscar Davis.

Solar panels power the water filtration system

Solar panels power the water filtration system

This is Josie Harding one of the hardest workers on Rum Cay.  He makes things happen!

This is Josie Harding one of the hardest workers on Rum Cay.  He makes things happen!

The filtered water is up & running and being used by the residents of Rum Cay!

The filtered water is up & running and being used by the residents of Rum Cay!

Hurricane Relief Update

It is with great pleasure to announce that, in addition to the tens of thousands of dollars in relief supplies, relief flights, and shipments that have been donated, we have successfully raised over $20,000 for the Rum Cay hurricane relief efforts.  With these funds it’s been decided to focus our relief efforts on helping Rum Cayans bring their households back in working order.

Therefore, Rum Cay Bahamian home owners were asked which household item they needed the most.   And due to budget restrictions we were only able to assist those households that were “in the water” during the hurricane with new mattresses.

With the assistance of Taylor Industries who graciously allowed us some serious negotiations and to Imperial Mattresses who also granted us a gracious hurricane relief discount we were able to make the following purchases.

8 x Refrigerators

12 x Washers

3 x Ranges

5 x 32” TV’s

1 x Water Pump

21 x Mattresses

We would also like to thank Ms. Patton the agent for the Lady Frances who also negotiated the shipping costs for this order. 

Most of the appliances/TV’s are currently on the mailboat due to set sail today from Nassau at 6pm.  Due to a shortage of inventory everything made it except for four washers and one TV which will be sent to Rum Cay as soon as they are back in stock.  All of the mattresses are scheduled to be delivered on the next mailboat due to space limitations.

Thank you to all of those who graciously donated money towards this effort.  Thank you to all of those who graciously donated their time towards flying relief supplies to Rum Cay.  Thank you to all of those who donated supplies in Florida.  Thank you.

Happy New Year and let’s make this a good one!  

For current Facebook updates on the coordination of the relief efforts go to

RUM CAY COMMUNITY

For Facebook updates on the Rum Cay Foundation please go to

RUM CAY FOUNDATION